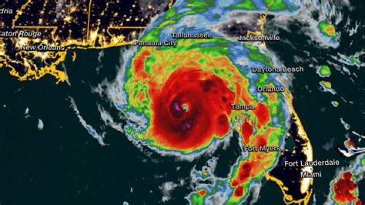
Florida Station Charged $8 for Gas Ahead of Hurricane Idalia Sophia Aguilar Feb 06, 2026 Hurricane Idalia made landfall on Wednesday as a Category 3 storm.
The 15 Best Neil Gaiman Short Stories Lucas Hayes Feb 06, 2026 In addition to his bestselling novels, Neil Gaiman is also a prolific short story writer. Here are 15 of his best.
Couple Shares Unique Love Story Alexander Torres Feb 06, 2026 "You don't see couples like us in the movies," Liza Thomas, 25, told Newsweek.
The Best Switch Games of 2023 Alexander Torres Feb 06, 2026 The Nintendo Switch continues its wonderful run with another year full of fantastic exclusives and brilliant independent games.
Jenifer Lewis tells raw truth in 'The Mother of Black Hollywood' Ava Barnes Feb 06, 2026 From substance abuse to her struggle with mental illness, actress Jenifer Lewis doesn't hold back in her new memoir, "The Mother of Black Hollywood."
10 Classic Cartoons to Watch if You Loved Cuphead Sebastian Wright Feb 06, 2026 Paste Magazine is your source for the best music, movies, TV, comedy, videogames, books, comics, craft beer, politics and more. Discover your favorite alb...
Bill De Blasio's 'Colored People's Time' Joke Hits Sour Note Ava Barnes Feb 06, 2026 New York City Mayor Bill de Blasio may be a bit gaffe prone, but his latest public faux pas strikes some as particularly offensive.
Disney bride and groom draw Twitter hate, but not all Disney adults are bad Mia Morrison Feb 06, 2026 Outrage at a couple who skipped feeding their weddings guests to pay for Mickey and Minnie to join them quickly spiraled into unwarranted hatred.
Taylor Swift Reacting to 'Cringe' Miley Cyrus Video Goes Viral Sophia Edwards Feb 06, 2026 At the 2013 VMAs, Miley Cyrus made pop cultural history and stunned the world—including Taylor Swift.
Judge denies Alex Murdaugh a new murder trial based on allegations of jury tampering by clerk Sophia Aguilar Feb 06, 2026 The actions of Rebecca Hill, the Colleton County clerk of court during Murdaugh's double murder trial in 2023, were at the center of a key hearing.